Question 2. Please submit any sites for employment and housing you wish to suggest for allocation in the Local Plan. Provide as much information and supporting evidence as possible.

Showing forms 31 to 60 of 827
Form ID: 40037
Respondent: Montana 55 Ltd

Land off Orwell Road Barrington Cambridgeshire

0.5

Site 40037 map

No uploaded files for public display

The land is currently unused.

None to our knowledge Montana 55 Ltd submitted a pre-planning application in 2017 which received a positive outcome Ref: PRE/0352/17

greenfield, however, the land originally included land now occupied by 15 Orwell Road which is a recent new build property, permission having been granted in 2014.

The pre-application submitted in 2017 was for four houses but the site layout can be adjusted to accommodate five. Properties would be a mix of sizes and styles. Access would be via Orwell Road where an access already exists. We have undertaken and completed visual and swept path analysis to ensure that the access is suitable for the development.

Market and affordable housing

Nothing chosen

The site offers the opportunity to deliver a number of family houses in Barrington which is in demand. The site itself is currently just unsightly land and this provides the opportunity to enhance area for nearby residents and to make use of the land. Additional housing in Barrington will also bring additional custom to the local shop, post office and public house helping to make them more sustainable.

The site can accommodate five dwellings with gardens and parking for each, whilst also providing the necessary access road and turning points which is suitable for emergency vehicles and refuse collection. Increasing the number of properties would require a different layout which would have a much greater impact on the site and its surroundings and make access an issue. The site is approximately 0.5 hectare however, once the access road is taken into consideration the site is approximately 0.4 hectare. The layout of the site has been designed to ensure that existing properties are not impacted and that a sense of open space remains.

No uploaded files for public display

Yes (Please give details)

There is an existing access from Orwell Road which would need to be developed and surfaced. We have already under taken the necessary surveys to ensure it can support the visual splays and a swept path analysis to ensure that the access is capable of supporting the proposed number of units, emergency and refuse vehicles.

No

No

No

There is mains water, sewerage, electricity and telephone/broadband all available in Orwell Road where connections can be made via the access route.

Available now

The land is owned by Montana 55 Limited the site is ready for development subject to planning permission.

Site owned by a developer

The site enjoys a private location close to the heart of Barrington and outside of the conservation zone. We have already had a number of prospective buyers ask when properties will be available as they are keen to live here in the village and very keen on the site location. There are good transport links close by with main roads A603, A10, buses, trains (Shepreth & Foxton), a shop, post office, public house, large green areas and sports facilities in Barrington which make it very attractive yet few houses come up for sale.

No

N/A

2021

2022

2

No

Yes

No uploaded files for public display

Form ID: 40038
Respondent: Mr David Ward

Adjoining 35 Cootes Lane, Fen Drayton Cambridge Cambs

1.532

Site 40038 map

No uploaded files for public display

This submission relates to the land edged red and edged blue on the plan. The land is vacant scrubland.

Undeveloped. Last used for horticultural purposes prior to demise of the Land Settlement Association in 1980.

Not known

No

Residential

Market and affordable housing , Older persons housing , Residential care home , Custom or self build housing , Other forms of housing

Public open space

There is an unsatisfied need for housing for people with local (village) connections, not fully identified in the Village Housing Needs Survey and will not be satisfied by social housing proposals currently being pursued on nearby land. The site can substantially satisfy this need. Additional family housing would assist the viability of the local school. The site is well located to meet the unsatisfied housing needs of the Greater Cambridge area. The site is also suitable as an Entry Level Exception Site. The site is opposite the local school and close to the village hall and recreation ground. Access to these sites is a cause of concern from speeding traffic and development of the site presents an opportunity for traffic calming measures, including a mini-roundabout or junction model which would significantly ameliorate the problem.

Based on a density of 25 - 30 units per hectare the site can readily accommodate approximately 40 - 45 units. It is anticipated these would include a range of predominantly smaller (1, 2 and 3 bed) units including bungalows within both market and social housing categories

No uploaded files for public display

No

A new vehicular access would be formed at the frontage to Cootes Lane

No

Yes (Please give details)

Preliminary assessment indicates that existing main gas, water, telephone and foul drainage infrastructure is capable of serving the development proposed.

Available now

The site is vacant. It is anticipated that development would be phased over 0 - 10 years.

Enquiries received

Immediate availability with no know adverse issues. Suitable for phased development. Adjoining land (edged green on the plan) would form a natural extension in due course. The site is well located to meet the very heavy market demand in the area.

No

N/A

2020

2025 - 2030

<10

No

N/A

Yes

No uploaded files for public display

Form ID: 40039
Respondent: Ms Fran Minnaar

Land west side of Strympole Way, Highfields Caldecote Cambridge

7.495

Site 40039 map

No uploaded files for public display

Agriculture

No planning application has been submitted on this land.

Greenfield

The site could deliver market housing to meed identified need and 40% semi-sheltered affordable housing with different (non-market) housing tenures to creat a mixed and balanced community. The site is sustainable and would link existing public rights of way. There are no significant adverse impacts in developing this site. Village has infrastructure required to support housing delivery. The site would be close to proposed transit systems on the A428 into Cambridge. Site is within walking/cycling distance of new employment opportunities proposed at the village of Bourn and Cambourne.

Market and affordable housing , Key worker housing , Older persons housing , Residential care home , Employment (B1) office

Public open space , Community facilities , Recreation and leisure , Healthcare

The development is within walking and cycling distance of the new village at Bourn and will provide significant economic support for the vitality and viability for the village of Caldecote. The location of the site allows for the choice of modes of transport to access local facilities and services in Cambridge and beyond including London.

Residential development of 204 units with associated open space ad landscaping and new infrastructure landscaping. Upgrade existing PROW to expand circular walk/bridleway.

No uploaded files for public display

Yes (Please give details)

Full access is available to site with connection rights to services.

No

No

No

The site is on the west side of Caldecote adjoining housing built in 1995. All key utilities including provisions for mains water, sewerage, electric, gas and broadband with connection points available in the boundary of this land. The site is not crossed by pipelines or electricity and their pylons.

Available now

The site is currently in agricultural use and could be made immediately available for development and certainly within 12 months

None

It allows sensitive integration between the recently consented development and this site and links to P.O.S.

The land is unrestricted.

Never previously considered.

2021

2024

3

No

N/A

Yes

No uploaded files for public display

Form ID: 40040
Respondent: Cowper Griffith Architects

Land to rear of Stock's Green West Wickham Road Horseheath Cambridgeshire

0.61

Site 40040 map

No uploaded files for public display

Dwellinghouse adjoining public highway with hardstanding and small garden with large paddock to rear, containing a small number of modest, timber framed and clad storage and stabling structures along its Northern perimeter.

Within site: S/1028/74/D erection of bungalow, approved S/3425/18/FL new dwelling replacing existing Nissen huts in adjoining parcel of land in same ownership (refused) Adjoining site: S/0398/08/F erection of two chalet bungalows replacing single dwelling immediately north of site on streetscene facing Church S/1911/91/F erection of Searson's Barn in land to the rear of Stock's Green, approved.

Mixture of existing dwelling house and associated land and undeveloped paddock

Modest residential development at a low density, using the existing point of access to the bungalow known as 'Paddocks'. Lower density will ensure good amenity space and green buffers and, as a result, a preservation of sightlines through the land to and from the Church and the preservation of the amenity of neighbouring residents. The houses to be a mix of single, 1.5 and two storey units for variety and in response to the gentle negative slope oil topography from North to South, being mindful of ridge lines and views across site. The houses to be designed in a sympathetic manner, echoing the forms, massing and materiality of the village's historic core. Good and large amenity and green buffer spaces ensuring habitat enhancement. Management of green space to be via service charge.

Market and affordable housing , Older persons housing , Custom or self build housing

Public open space

Enhancement to streetscene with a replacement for the 1970s bungalow known as 'Paddocks', with associated benefit to the Church setting. Ecological enhancement through biodiversity (current paddock deemed to be species poor). Potential for small public accessible wildlife garden though public access would diminish species diversity. Suggested native wildflower meadow environment with mammalian and reptile habitat features, encouraging invertebrate, reptile, bird and mammalian life thereby helping support the entire local ecosystem, made less diverse by modern farming practices.

Generous plot size with abundant open space between units and perimeter green zones giving density of 9 dph. Given the constraints of heritage and openness at the edge of the settlement, with views towards open countryside, this approach is deemed preferable. Seeking maximum possible density would give rise to a contextually inappropriate suburban feel, which would be injurious to the setting of the church. Approximate unit sizes: ca. 180-220m2 each resulting in 1000m2 total of residential floorspace, and a net gain of ca 850m2 due to loss of existing 1970s bungalow known as 'Paddocks'. The site would also take a net +5 if necessary. New units to be accessed off a gently meandering access route along the Northern edge, with large South facing rear gardens in excess of mandatory standards, creating an open swathe immediately East of Searson's Barn. Suggest PD rights removed.

No uploaded files for public display

Yes (Please give details)

Existing access to Paddocks bungalow and paddock thereafter to be retained. Sightlines and splay adequate.

No

Slope, but insufficient to curtail development. It will affect ridge heights so the scale of units will need to be carefully considered, in this sensitive setting. No known ground issues. No SI carried out to date.

Yes (Please give details)

Heritage setting of Church. Potential for archaeology, to be protected via condition. Potential for bat roost and protected species in nearby ponds (to be dealt with by survey, condition & mitigation) Potential for archaeology due to nearby moat (to be dealt with by survey, condition & mitigation)

All services currently run to the bungalow 'The Paddocks' and can thereafter be extended to serve site, though a new foul connection to the mains sewer for the multiple new units is likely to be necessary due to insufficient pipe capacity.

Available now

Development of the paddock land could commence immediately subject to planning. Access can be given, alongside the bungalow. Replacement of the bungalow is dependent on the current occupants leaving the property. This would be the final element of the process as the scheme would be 'built out' from the back, finishing at the roadside.

None

The right scheme, sensitive to neighbours and church, could create a small number of high quality homes extremely well placed for Cambridge's burgeoning high tech medical and biotech/r&d campuses, Addenbrookes and city workers wishing to experience village life - potentially professionals with young families. Inclusion of Lifetime Homes style dwelling/s could encourage a broad on-site demographic thereby ensuring activity through the week.

None which we are aware of.

N/A

2021

2023

2

No

Yes

No uploaded files for public display

Form ID: 40041
Respondent: Stantec

Kings Gate site Villa Road 2025: LAND TO THE WEST, SOUTH ROAD, IMPINGTON, CB24 9NZ 2025: Land South of Villa Road, Impington

6.25ha. 2025: 6.41ha.

Site 40041 map

No uploaded files for public display

Rented to NIAB for crop testing. Agricultural land/buildings.

N/A

S/2930/15/OL

NO 2025: Greenfield

Residential, up to 120 units of mixed housing (minimum 100 units). 2025: Residential, approximately 170 to 210 units.

Market and affordable housing , Older persons housing , Residential care home , Custom or self build housing

Public open space

Meeting housing need, financing CCSWMP proposal, exemplar of low energy/low cost/self-build homes, utilising Guided Busway to Cambridge, meeting Neighbourhood Plan requirements.

Up to 120 units of mixed housing as per Neighbourhood Plan 2025: Between 170 and 210 residential units.

Flood Risk

No uploaded files for public display

Yes (Please give details)

Access will be via Villa Road.

No

No answer given

Yes (Please give details)

Please see CCSWMP proposal for this site to resolve pluvial flood risk. Developer will contribute substantially to creation of the required pond as discussed with Brian Heffernan: Brian.Heffernan@cambridgeshire.gov.uk

No answer given

Nothing chosen

LV overhead power line crosses the site. UK Power Networks have agreed to move this at no cost.

Available now

Kings Gate Co has a developer ready to finance development of the site, without delay.

Site owned by a developer

Site is adjacent to existing housing north and east sides.

Nothing chosen

Multiple ownership is being transferred into a single Kings Gate title by end of 2019 under a Shareholder Agreement.

No answer given

2021

2013

2

Yes

Spoil from the pond excavation would be used to raise the ground level for housing.

Yes

Form ID: 40042
Respondent: Dr Peter Moore

Land adjoining 107 Boxworth End, Swavesey CAMBRIDGE

3.316

Site 40042 map

No uploaded files for public display

Part agricultural use for grazing and part (pond and woodland areas) as habitat for wildlife

Not applicable

None

Greenfield

The landowners wish to create a high-quality development of approximately 70 residential units (subject to technical due diligence) with strong sustainability credentials and a proportion of affordable housing. Access from the main village street would be through the orange area on the attached site map. The rest of the area hatched in green consists of a pond and woodland areas which are to be sustained as habitat for wildlife and for the enjoyment of residents of the development.

Market and affordable housing , Older persons housing , Residential care home

Public open space

Swavesey is acknowledged by the Council and the Planning Inspector as a sustainable settlement with a good level of services and facilities. The proposal includes affordable housing. In addition, the pond and woodland areas are a unique feature of the site. They were designed by a leading conservationist and would attract visitors, both locally as the only accessible woodland in Swavesey and more widely in combination with the bird reserves at the other end of the village.

The site has an estimated capacity of up to approximately 100 dwellings (subject to further technical due diligence).

No uploaded files for public display

No

The site has no vehicular access at present but it borders on the main village street and an access road can be built through the orange area on the attached Site Map. The attached Proposed Access Plan shows that there is room for a 5.5m access road. Discussions with the County Council have been held in connection with the proposed access.

No

Yes (Please give details)

1. Flood Risk: A Flood Risk Feasibility Note by EAS dated 15/2/17 showed that there was a risk of flooding in the area through which the proposed access road would pass. Counter measures would be a bridge for the proposed road, required anyway to cross the public drain that crosses that part of the site, and/or a culvert. 2. Biodiversity: The areas hatched on the site map consist of 0.6 ha of woodland and a pond. The landowners' father, Dr N W Moore, studied the colonization of these areas since the planting of the trees (mainly in 1971-72) and the digging of the pond in 1983. He wrote a book about the site, "Oaks, Dragonflies and People" (Harley Books, 2002), which gives details of the colonization, for example by great crested newts and 19 species of dragonfly, of which 15 bred. The landowners are keen to preserve the biodiversity of the site through the development process and seek the aid of planning authorities and developers in doing so. They envisage residents of the planned development forming a management committee to balance ecological and leisure needs.

The site borders on the main village street which includes all utilities so all that will be needed are links following the path of the planned access road. As shown on the Site Map, a public drain runs across the route of the planned access road and then along the NW border of the site. An electricity supply line crosses the site from the SE corner to the NE border, dashed in blue on the attached Site Map.

Available now

The grazing of the non-wooded part of the site is let to a local farmer with a 6 months' notice period.

Enquiries received

This is a highly attractive site for the following reasons: 1. Situation in the village of Swavesey with good facilities including a popular school 2. By the time the site is developed there will be easy access to the improved A14 a mile away. This, and the guided bus station at the other end of the village, provide quick access to all the work places and amenities of Cambridge, St Ives and Huntingdon. 3. Well-established and attractive environment of pond and woodlands.

No

Not Applicable

2022

2023 - 2024

1 - 2

No

No significant issues known other than those described above.

Yes

Form ID: 40043
Respondent: Mr Nick Charter

Field with road frontage on Broadway before number 37, Bourn Cambridge Cambridgeshire

1.9

Site 40043 map

No uploaded files for public display

Agriculture

n/a

none

greenfield

A development similar to a recent development at the other end of Bourn village called Granary Court which is mixed housing for families but to also provide some housing for diversity: - 1 or 2 bedroom rental/owned apartments for one and two people occupancy - and also to explore the possibility to offer plots for self-build The proposed development would be established through consultation with community and local planning.

Market and affordable housing , Key worker housing , Custom or self build housing

Public open space

As well additional housing for families in the village, - Provide housing for 1 and 2 people occupancy - Offer opportunity for local people to self-build - Incorporate green space and tree belt for benefit of both new and nearby existing housing - Improve road safety for existing housing along The Broadway e.g. traffic calming, bus lay-by

A combination of up to 40 residential units: - Mixture of family homes of 2,3,4,5 bedrooms - Housing association key worker and first time buyer homes - Apartment for one or two person occupancy - Self build plots 40 units is estimated from other developments in the area e.g. Granary Court in Bourn and Cambourne More land could be made available to provide an appropriate sized area for the development

No uploaded files for public display

Yes (Please give details)

Existing farm track (see green arrow on map)

No

Yes (Please give details)

Development site is adjacent to existing housing with all key utilities available.

Available now

The site can be available for development immediately as it is freehold land, owned and farmed by ourselves (there are no legal charges or tenancy agreements on the land). If the area was chosen for development we would be able and happy to release the land from its current arable usage without delay.

None

I believe this is an attractive site to both developers and market because Bourn has had similar site development (both near-by and at the other end of the village) which quickly became occupied.

No

n/a

This could be flexible following planning approval

An estimate of 2-3 years from start

2-3 years, quicker if possible

No

Yes

No uploaded files for public display

Form ID: 40044
Respondent: Mr James Balaam

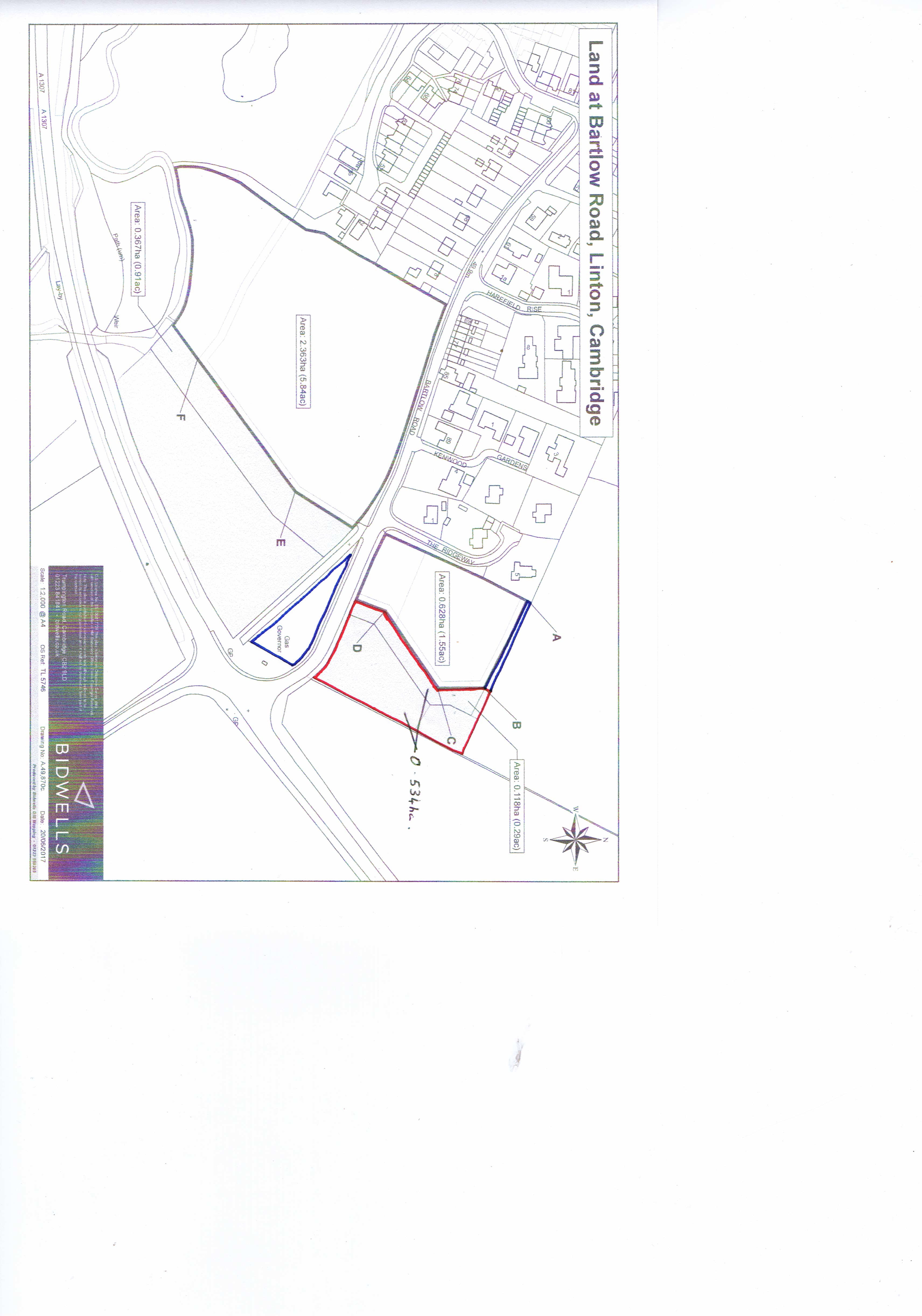
Land to the North of Bartlow Road, Linton Cambridgeshire 2025 - Land south of Bartlow Road, Linton

0.534 hectares 2025 - 0.35 hectares

Site 40044 map

No uploaded files for public display

Paddock/scrub

N/A

N/A

Greenfield

Market Residential 2025 - Residential

Market and affordable housing

Nothing chosen

Is part of the same field that was granted permission under S/1963/15/SOL so impact on the local landscape will be minimal.

Flexible 12-15 Units

No

No uploaded files for public display

Yes (Please give details)

Adjoins highway and has road frontage with Bartlow road and has existing pedestrian and vehicular access. It can also be accessed through adjoining development.

No

No answer given

Yes (Please give details)

No answer given

the site does have access to key utilities

Yes (Please give details)

Gas Pipeline in North eastern corner of field, Roadways and parking is permissible over it. Access to other key utilities and drainage available through adjacent development.

Available now

Adjacent site is being delivered now. Can deliver immediately

None

Very Good - Excellent transport links.

No

None

N/A

2020

2021

1

No

No answer given

Yes

Form ID: 40045
Respondent: Paul Buckthorpe

Heydon Grange Golf Club Fowlmere Road Herts

869

Site 40045 map

No uploaded files for public display

Argricultural, Residential and Golf Club

No answer given

No answer given

Mixture

Large residential

Market and affordable housing , Older persons housing , Residential care home , Student accommodation , Custom or self build housing , Other forms of housing , Employment (B1) office , Employment (B1b) research and development , Employment (B1c) light industrial , Employment (B2) general industrial , Employment (B8) storage and distribution , Employment (other)

Schools and education , Public open space , Community facilities , Recreation and leisure , Healthcare , Retail

The development would provide the whole area and villages with what they need now

Approx 9072 including 40% affordable housing

No uploaded files for public display

Yes (Please give details)

Mitigation will be looked at but the site will require upgrading roads

Yes (please give details)

The area has mixed levels see plan 1111 103

Yes (Please give details)

Ecology report attached

No

Provisions will need to be made

Available now

Confirmed by client

Enquiries received

Perfect area to access main roads Perfect area for residential Perfect area for commercial

None

No

July 2020

2035

15

No

Yes

No uploaded files for public display

Form ID: 40046
Respondent: Paul Buckthorpe

Heydon Grange Golf Club Fowlmere Road Herts

456 SSU 2025 update: 857 ha

Site 40046 map

No uploaded files for public display

Agricultural Residential

mxture

Large development to include residential, commercial and light industrial SSU 2025 update: New Town proposal for 10,500 dwellings and supporting facilities

Market and affordable housing , Key worker housing , Older persons housing , Residential care home , Student accommodation , Custom or self build housing , Other forms of housing , Employment (B1) office , Employment (B1b) research and development , Employment (B1c) light industrial , Employment (B2) general industrial , Employment (B8) storage and distribution , Employment (other)

Schools and education , Public open space , Community facilities , Recreation and leisure , Healthcare , Retail , Other

The development would provide easy access to retail to other villages in the area. The development would provide a good level in standard of living to all buyers from affordable to expensive homes.

Up to 3500 plus 700 units for mixture of commercial and industrial, including 40% affordable housing SSU 2025 update: A sustainable and self contained New Town (mixed use) delivering: • Approximately 10,500 new homes, including affordable houses, family houses, small houses, flats, self-build plots and a nursing home; • Various services, facilities and education/employment opportunities, including a doctor’s surgery with pharmacy, shops, cafes and restaurants, offices, light industrial units, a post office, a community centre, a children’s daycare centre, primary and secondary schools, bus stops, cycle tracks and a park-and-ride facility; and • A range of accessible green spaces, children’s playgrounds, parks and a leisure centre.

No uploaded files for public display

Yes (Please give details)

Yes the existing roads will need to be improved and changed

Yes (please give details)

Refer to drawing number 1112 102

Yes (Please give details)

No

Provision will be made

Available now

July 2020

Enquiries received

The area is perfect for development opportunity.

none

no

July 2020

2025

5

No

Yes

Form ID: 40047
Respondent: Ms Fran Minnaar

Land off 335 High Street Cottenham Cambs

9.998

Site 40047 map

No uploaded files for public display

Agriculture

Greenfield

The site could deliver market housing to meet identified need and 40% semi-sheltered affordable housing with different (non-market) housing tenures to create a mixed and balanced community. The site is sustainable and would link to existing public rights of way. The site is adjacent to Cottenham Village College. The land could be made available to sports facilities at the College. There are no significant adverse impacts in developing this site. Village has infrastructure required to support a further housing delivery. Site is within walking/cycling distance of employment opportunities, school and the centre of the village.

Market and affordable housing , Key worker housing , Older persons housing , Residential care home , Employment (B1) office

Schools and education , Public open space , Community facilities , Recreation and leisure , Healthcare

The development is within walking distance of Cottenham Village College and will provide significant economic support for the vitality and viability for the village of Cottenham.

Residential development of 175 units with associated open space and landscaping and new infrastructure landscaping. Upgrade existing PROW to expand circular walk to the south of the village.

No uploaded files for public display

Yes (Please give details)

Full access is available to site with connection rights to services.

No

No

No

The site is adjacent to Cottenham Village College and has access to all key utilities and services. The site can be connected to all key services including mains water supply and mains sewage and electricity, gas and broadband. The site, whilst close to services, is not crossed by key utility pipelines such as gas or by electricity pylons.

Available now

None

Proximity to centre of village and railway station with links to Cambridge and London.

The land is unrestricted.

Never previously considered.

2021

2026

5

No

N/A

Yes

No uploaded files for public display

Form ID: 40048
Respondent: Dena Dabbas
Agent: Stantec

Land at South Trumpington South Cambridge: West of Hauxton Road and north of M11 (previously submitted as Land to the North of the M11 and West of Hauxton Road)

30.93

Site 40048 map

Agriculture

N/A

South Cambridgeshire District Council - Ref. S/1925/16/OL and Cambridge City Council - Ref. 16/1376/OUT. Withdrawn 27-Jun-2017. "A phased development of a Sporting Village comprising new sports facilities, Community uses (Use Class D1), Leisure Uses (Use Class D2), Retail (Use Class A1/A3/A4) and residential development (Use Class C3), new landscaping and public realm, car and cycle parking, other associated works and access from Hauxton Road."

Mixture.

Our vision is to deliver an innovative, bespoke housing solution with supporting community facilities to meet the specific needs of Southern Cambridge and the growing Cambridge Biomedical Campus. We would like to work with major employers - creating a pathway to the right housing for their employees - in a sustainable location that removes the need for private car ownership. The unique sustainable characteristics of Trumpington South will contribute to the Councils achieving their ambition of zero carbon by 2050. A mix of community and workspaces would support the new housing. This could include: - Education - Community - Work Hubs - Micro-consolidation centre for on-line deliveries - Community concierge to support 'active travel' options. Trumpington South is particularly well suited for this role: - It is exceptionally well connected to Cambridge Biomedical Campus and the City Centre via cycle networks, the guided busway and Park & Ride. - The existing community at Trumpington Meadows has an established active travel culture, with 61% of residents choosing to cycle to work*. - Sustainable connections are set to improve with a planned extension to the Park & Ride to the south of the site, an extended guided busway, trials of Autonomous vehicles on the guided busway from , and a planned new railway station at Cambridge South. - Trumpington South can build on these sustainable credentials, extending them and delivering a distinctive residential quarter with a thriving active travel culture. - Trumpington South would broaden the range of housing choices – tenure, design, affordability, sharing options – available to local people and workers. All within 10 to 15 minutes cycle ride or guided bus journey of Addenbrokes and the biomedical cluster, and the City Centre. - This is a place where ‘active travel’ and public transport can reduce congestion and the use of the car, improving air quality, supporting healthy lifestyles, and ultimately moving towards a Zero Carbon future. Please see supporting document submitted via email for full description. 2025 update: Our vision is to provide an exemplar and deliverable growth proposition for Cambridge, offering a rich mix of used potentially including: > Floorspace for a range of jobs (Offices, Science & Technology, Research & Development, Mid-tech); > a range of housing types-including private, affordable and/or essential worker housing; >supporting complementary retail and community facilities; and, > mobility hubs (see supporting vision document submitted)

Market and affordable housing , Key worker housing , Employment (B1) office , Employment (B1b) research and development , Employment (B1c) light industrial , Employment (B2) general industrial , Employment (B8) storage and distribution , Employment (other)

Public open space , Community facilities , Recreation and leisure , Healthcare , Hotel , Retail

This development would provide a sustainable extension to south Cambridge which: - Meets the local housing need through providing a range of accommodation to support Southern Cambridge and the biotechnology cluster - It is exceptionally well connected to existing public transport infrastructure and planned improvements to the public transport network - Supports the expansion of travel corridors and use of innovative modes of movement for those living in the immediate area, and provides opportunities to improve connections with the city centre and villages to the south - Sites within a strong established green infrastructure network next to Trumpington Country Park, with direct connections to a network of footpaths and cycle ways - Enhanced community offer for residents in the wider area to use - We believe there is merit in the Councils undertaking a Green Belt review in this location to support the growth of Southern Cambridge, acknowledging overall vision for the site 2025 update: There is (also) an opportunity to provide high quality, accessible green space and further enhance access and links into the neighbouring Trumpington Meadows Country Park. Given its strategic location and excellent connectivity, the site could complement and support neighbouring centres for global innovation – such as the Cambridge Biomedical Campus (CBC). (see SSU supporting documents)

The site is well served by public transport and the cycle network. It is also within walking distance to a local centre and education facilities. It is clear that the site provides an opportunity for a higher density of development than has been achieved at Trumpington Meadows. This would not require tall buildings. Buildings of between 4 to 5 storeys would deliver a high-density community of approximately 750 + units, with active ground floors with workspace and community hubs. This scale of development would sit comfortably into the landscape of the southern fringe. The site is also suitable for a range of employment uses, which could be incorporated into a rich mix of uses. 2025 update: Minimum number of residential units-400/ Maximum number of residential units- 1000. Minimum employment floorspace in sqm- 130,000/ Maximum employment floorspace in sqm- 260,000

No answer given

No uploaded files for public display

Yes (Please give details)

Vehicular access to the site is currently provided from Hauxton Road by way of traffic signal controlled junction that also provides access to Addenbrooke’s Road. The road leading from the junction is being modified to facilitate access to Trumpington Meadows. Further adjustments to the access road will be required to accommodate Trumpington South, with additional connections to the north also provided.

No

There are no physical constraints.

Yes (Please give details)

Other than the current Green Belt policy designation, the land at Trumpington South is free from environmental constraints.

The site has access to key utilities

Yes (Please give details)

see SSU utilities statement

Available now

The site is in the single ownership of the Trumpington Meadows Development Company, and is available within the next 5 years. 2025 update: We acquired the site in December 2022 (from previous landowner Grosvenor) with the view of promoting the site for Green Belt release through the Greater Cambridge Local Plan. Since acquiring the site, we have been considering how it can contribute positively to Greater Cambridge’s economic and social priorities, whilst also supporting the ambitions as set out by the Cambridge Growth Company. As part of this process, we have undertaken comprehensive studies to better understand both the opportunities and constraints of the site. We believe that our submission demonstrates that the land at South Trumpington is suitable, achievable and deliverable for allocation, and ultimately future development (subject to the planning process). We strongly believe that the site should be considered ‘grey belt’ as defined by the 2024 NPPF and as such, prioritised for release.

Site owned by a developer

Trumpington Meadows is a new and developing community next to an existing attractive village south-west of Cambridge and is supported by a number of existing facilities and services. It is already extremely accessible. Trumpington South would be high attractive as a location for residential and a range of employment uses. The preferred use is residential focused on build to rent and share tenures. Please see supporting document submitted via email for more information.

Nothing chosen

N/A

N/A

If the site was allocated for development, it could be well underway within 3-5 years of the grant of planning permission.

N/A

N/A

No

N/A

Yes

Form ID: 40051
Respondent: Miss Simone Skinner

Land to the south of the High Street West Wickham Cambridgeshire

1.126

Site 40051 map

No uploaded files for public display

Agricultural

n/a

No relevant historic planning applications

None

Residential development similar to that of the existing properties lying to the north, east and west.

Market and affordable housing , Custom or self build housing

Public open space

With a requirement for houses in the region, the development of this site would relieve the pressure and allow the village to expand within the established linear layout of West Wickham and could provide further homes for people who may otherwise have to leave the area to live elsewhere.

We estimate a total of 20 potential houses on this site that are of a similar size, design and layout to the adjoining residential dwellings.

No uploaded files for public display

Yes (Please give details)

The land has road frontage which would allow suitable access to be created to the site.

No

There are no physical constraints. Please see 'Appendix 3- Neighbourhood Plan Survey' for details of a survey carried out by local residents, referred to in section K- Supporting Evidence.

Yes (Please give details)

The site has been identified to be within Flood Zone 1- See attached 'Appendix 2- Flood map for planning'

Water, sewerage, electricity and broadband are all available via connections from the High Street in West Wickham. As far as we aware there is not a gas main present.

Available now

None

Good

No- The land is let for 5 years but possession can be gained for non-agricultural use.

n/a

2022

2024

2

No

Yes

No uploaded files for public display

Form ID: 40052
Respondent: Carter Jonas
Agent: Carter Jonas

Land at Mill Lane Sawston Cambs

1.48

Site 40052 map

Cultivated land at the edge of the settlement

N/A

S/2454/15/OL - development upto 46 dwellings - refused 2016 S/3873/17/OL - development upto 40 dwellings - refused 2018

Greenfield

Residential development. 2025: Proposing anywhere between 20 and 30 residential units. Submission of drainage note, illustrative masterplan, and LVIA.

Market and affordable housing

Public open space

High quality development, contributing towards the general housing need in the area and affordable the housing need.

Between 30 and 46 dwelling houses. 2025: Proposing anywhere between 20 and 30 residential units.

No answer given

Yes (Please give details)

Site is accessed from Mill Lane - No objections have been raised by County Highways Officers

No

No answer given

No

No answer given

Yes, the site has access to key utilities.

Yes (Please give details)

No answer given

Available now

Site owned by a developer

Sawston is a rural village with many amenities to serve the occupiers of the new development.

no

no

2019

2022

3 year

No

Yes

Form ID: 40053
Respondent: Miss Simone Skinner

Land to the south of the High Street West Wickham Cambridgeshire

0.54

Site 40053 map

No uploaded files for public display

Agricultural

n/a

No relevant historic planning applications

No

Residential Development similar to that of the properties to the north, east and west.

Market and affordable housing , Custom or self build housing

Nothing chosen

With a requirement for houses in the region, this would relieve the pressure and allow the village to expand within the established linear layout of West Wickham and could provide homes for local people who may otherwise have to leave the area.

We estimate a total of 10 potential houses on this site that are of a similar size, design and layout to the adjoining residential dwellings.

No uploaded files for public display

Yes (Please give details)

The land has road frontage which would allow suitable access to be created to the site.

No

There are no physical constraints. Under Part K: Supporting Evidence, please refer to 'Appendix 3- Neighbourhood Plan Survey', hereby attached.

Yes (Please give details)

The site has been identified to be within Flood Zone 1. Please refer to 'Appendix 2- Flood map for planning', for further information regarding this.

Water, mains sewerage, electricity and broadband are all available via connections from the High Street in West Wickham. As far as we are aware there is not a gas main present.

Next 5 years

The property is let for 5 years but possession can be gained for non agricultural use.

None

Good.

The property is let for 5 years but possession can be gained for non agricultural use.

n/a

2022

2024

2

No

n/a

Yes

Form ID: 40054
Respondent: Steeplefield
Agent: Turley

Land between 12 and 14 Station Road Steeple Morden

0.75

Site 40054 map

No uploaded files for public display

Disused orchard

No answer given

S/3428/17/OL for twelve houses 40% affordable. Recommended for approval. Refused. Dismissed on appeal. S/1887/18/OL - Outline planning permission for the construction of a rural exception scheme comprising of 8 dwellings (5 affordable and 3 market homes) with all matters reserved except for access – permission granted 24 June 2020

Greenfield. (Predominantly orchard trees at end of life. Designated 'woodland' on Magic due to presence of mature and semi-mature Ash trees.)

Erection of up to 8 dwellings with new vehicle access and retention and enhancement of boundary planting along road frontage.

Market and affordable housing

Nothing chosen

No answer given

Eight residential units.

No answer given

Yes (Please give details)

The site adjoins the highway. The provision of a vehicular access onto the site was submitted and approved by Cambridgeshire County Council as shown on drawing Steeple04 (file SteepleM Steeple04.pdf).

No

No answer given

Yes (Please give details)

Site is adjacent to - but not within - a Conservation Area. Site is adjacent to a listed building. Trees. Application S/3428/17/OL included a comprehensive set of reports and studies in relation to constraints. There were no technical objections from specialist consultees. The scheme of twelve houses was recommended for approval. The Planning Design and Access Statement is attached. Other reports and surveys are held by SCDC and accessible via the planning portal. The development of eight houses (as opposed to twelve) would enable further mitigation of effects including retention of trees and streetscape.

No answer given

No

Surface water drainage to be attenuated and managed on-site. The strategy was agreed with Cambridgeshire County Council for a scheme of twelve houses (County letter ref. FR/17-000529 dated 13/12/2017). A scheme for eight houses would reduce the volume of impermeable surfaces and the volume of rain water to be attenuated and infiltrated to the aquifer.

Available now

The site is in the ownership of the proposer to the 'Call for Sites' and has no impediments to development other than planning legislation.

Site owned by a developer

Site is in the ownership of a company which has the sole purpose of achieving a sensitive development of the site. Prior to 25th March 2019 the site has not been marketed. Expressions of interest have been received. An acceptable offer to purchase subject to planning approval is under negotiation (as at 25th March, 2019).

Nothing chosen

None.

No answer given

2022

2022

1

No

No answer given

Yes

Form ID: 40055
Respondent: Bloomhall Ltd

Land off Victory Way Cottenham Cambridgeshire

0.736

Site 40055 map

No uploaded files for public display

Derelict buildings and overgrown field

N/a

None

Greenfield

6no chalet type residential dwellings as indicated in plan 02.18 SK01 (provided - indicative only)

Market and affordable housing

Nothing chosen

New housing for families close to the school

6no 4bed detached chalet type dwellings at circa 167sqmtr as indicated in plan 02.18 SK01 (provided - indicative only)

No uploaded files for public display

Yes (Please give details)

New road required via discussions with SCDC for rights over (indicated on proposed development plan 02.18 SK01 provided - indicative only)

No

Yes (Please give details)

New utilities connections required

Available now

Privately owned by 2 family members

Enquiries received

Good

Access over land owned by SCDC

2023

2024

1

No

n/a

Yes

Form ID: 40057
Respondent: University of Cambridge

Land at Burnt Farm, High Street, Madingley Cambridge Cambridgeshire

1.3

Site 40057 map

Vacant

The site was previously used for agricultural purposes

S/0639/82/NLB and S/0640/82/F

Previously developed land

Market Housing

Market and affordable housing

Nothing chosen

The existing redundant buildings are prominent within the street scene of Madingley Conservation Area. Redevelopment of the site and demolition of the existing agricultural buildings would provide an opportunity to improve the site's condition and relationship with the Grade II listed Burnt Farmhouse for which it shares a boundary.

We are of the opinion that the site is capable of delivering between 10 - 12 residential units.

No answer given

No uploaded files for public display

Yes (Please give details)

Access can be gained via High Street from the west. Likely that access would need updating for any development scheme.

No

No physical constraints have been observed on site.

Yes (Please give details)

The site is not subject to any ecological designation and there are no Tree Preservation Orders within or adjacent to the site. The site lies within Flood Zone 1, with the least risk of flooding and shares its south eastern boundary with the Grade II listed Burnt Farmhouse, which is also in the ownership of Cambridge University. It is understood that any development proposal made would need to ensure it does not affect the character of the listed building and its setting, taking into account the form, scale, massing, materials etc, and result in biodiversity net gain, in accordance with Policies HQ/1 and NH/14.

No answer given

No

The site is located on the northern periphery of Madingley and would have access to the facilities within the village. Power and drainage utilities in the highway and some buildings.

Available now

The site is currently vacant and therefore immediately available.

Site owned by a developer

Dependent upon unit type, settlement is in reasonably high demand, as edge of City sustainable location.

No

No

Not applicable.

3 years

Within 5 years

2 years

Yes

Costs associated with removal of existing buildings.

Yes

No uploaded files for public display

Form ID: 40058
Respondent: CEG
Agent: CEG

South of Fulbourne Road an north east of Babraham Road, known as Cambridge south east (35.96ha in Guys and St Thomas ownership and 122.8ha in Peterhouse ownership) Site Submissions Update 2025: Site area has been changed and now known as 'North of Wort’s Causeway and West of Limekiln Road, Cherry Hinton, Cambridge CB1 8PU'

158.76

Site 40058 map

No uploaded files for public display

Agriculture

N/A

Cambridge Local Plan (October 2018) allocations GB1 and GB2 are located to the south east of the site either side of Wort's Causeway. Applications are emerging.

Greenfield

The landowners and land promoter (CEG) are keen to work with the Council's to establish exactly what form of development could come forward in this location. In the document 'South East Cambridge: Options for Sustainable Growth' which accompanies this submission, a number of options have been set out to show how the site could be brought forward. This includes the extension of Peterhouse Technology Park & ARM HQ (potentially delivered with some housing alongside), residential development extending beyond the initial phases of development in this location at GB1 and GB2 and a significant country park.

Market and affordable housing , Key worker housing , Older persons housing , Residential care home , Student accommodation , Custom or self build housing , Employment (B1) office , Employment (B1b) research and development , Employment (B1c) light industrial

Schools and education , Public open space , Community facilities , Recreation and leisure , Healthcare , Hotel , Retail

The site is strategically well located in relation to a number of local employment, leisure, education and transport destinations. It is also close to existing public transport hubs (Babraham Road Park and Ride and Addenbrooke's Hospital bus station) and this would be further enhanced by the implementation of a sustainable travel strategy for the site. Presently, 57% of residents in this part of Cambridge walk, cycle or take public transport to work, and the scheme would seek to maintain or better this as the site is in a highly sustainable location for development. The expansion of Peterhouse Technology Park provides a unique opportunity to increase employment options in this part of the city. It is clear that allocated employment areas in locations outside of the city have been less desirable, and the drive and demand for employment space in and on the edge of the city of Cambridge is strong. This provides an opportunity to address this issue. Residential development in this location would help meet market and affordable housing needs and provide accommodation for knowledge workers, allowing them to work and live in a compact city and support its competitive advantage as the UK's most successful local economy.

up to 1,500 residential units and 600,000 to 1.5 million sq. ft of employment floorspace. 2025 update: 400-600 dwellings on reduced site

No uploaded files for public display

No

There are no current vehicular access points form the highway. Limekin Road currently runs through the site (from north to south). Two access points could be created on Fulbourne Road. Pedestrian access could also be sought from Cherry Hinton Chalk Pits, Peterhouse Technology Park and Wort's Causeway. The addition of a strategic connection between the two development parcels could facilitate a link between Cherry Hinton and Babraham Road.

Yes (please give details)

The overall site has varying ground levels (of between 20m and 65m above sea level), but overall it comprises gently sloping land. The highest point within the land parcel is located at the south-eastern corner of the site adjacent to Wort's Causeway. Development would be restricted to relatively flat ground and would not encroach into sloping land leading into the foothills of the Gog Magog Hills.

Yes (Please give details)

The site lies within Flood Zone 1 (at low risk of flooding). There are no listed buildings within the site. A Grade II listed milestone is located on Worts' Causeway just south of the site (list entry number: 1331933), but this will not constrain any development opportunities within the land parcel. A small section of the site (including Limekiln Road and south of the east chalk pit) is within a Site of Special Scientific Interest (SSSI). Additionally, the land south of Netherhall School (within the site) and the chalk pits (which are outside the site) are designated as Protected Open Space. The chalk pits are also Nature Reserves. A flood risk assessment will be submitted as part of the planning application as the site is over 1ha. A green space could be retained around SSSI which would link to the chalk pits. This will be beneficial in ecology/biodiversity terms, but also as an open space for residents to use.

Within the site there is a High Pressure Gas Main. This runs from the junction between Limekiln Road/Worts' Causeway north-east, and then runs north along the boundary of the site and the chalk pit, and then through the Peterhouse Technology Park (outside of the site). There are also three Water Main routes through the site (one running from the south-western part of the site to the reservoirs south of the east chalk pit. The two other water mains run from the reservoirs eastwards - one runs diagonally north of Westbourne Farm, and the other runs north and meets Peterhouse Technology Park. There is a row of electricity pylons located along the eastern boundary of the site where there is a line of trees bordering Westbourn Farm. Capacity for gas and water will need to be reinforced for a development in this site. A provision for mains sewerage, electricity supply and broadband internet will be made for any development on this site.

Next 5 years

For sites to be developable, the NPPF states that sites should be in a suitable location for development with a reasonable prospect that they will be available and can be viably developed at the point envisaged. The overall site is available now and it would be reasonable to estimate that development could start within the next 5 years. In Government guidance, land is considered available when there is confidence that there are no legal or ownership problems (e.g. multiple ownership's, ransom strips and tenancy issues). Both landowners have expressed an intention to develop the site, and there are no ransom strips. The land is also promoted by CEG. Therefore, the land is considered available.

Site is under option by a developer

Very attractive to the market. CEG are activly promoting the site on behalf of the landowners

No

N/A

Depending on the progress of the Local Plan and planning permission, the site could feasibly begin development within the next five years.

Dependent on the form of development agreed in collaboration with the Council

Dependent on the form of development agreed in collaboration with the Council

No

N/A

Yes

Form ID: 40059
Respondent: University of Cambridge

Land at Home Farm, Cambridge Road, Madingley Cambridge Cambridgeshire

0.5

Site 40059 map

No uploaded files for public display

Occupied

The site was previously used for agricultural purposes

C/0432/73/F; C/0757/72/O; C/0281/65 and C/0487/64

Previously developed land

Market Housing

Market and affordable housing

Nothing chosen

The site is within the Madingley Conservation area. Redevelopment of the site and demolition of the existing agricultural buildings would provide an opportunity to improve the site's relationship with the Grade II listed properties which share the sites southern boundary and views of Madingley from the east.

We are of the opinion that the site is capable of delivering up to 8 residential units.

No uploaded files for public display

Yes (Please give details)

Access to the site can be gained via Cambridge Road to the south.

No

No physical constraints have been observed onsite.

Yes (Please give details)

The site is not subject to any ecological designation. There are no Tree Preservation Order within or adjacent to the site and the site lies within Flood Zone 1, with the least risk of flooding. There are heritage assets in close proximity to the site including the Madingley Hall Park and Garden to the north, 16- 18 Cambridge Road at the site's south eastern boundary and Madingley School 110 metres west. It is understood that any development proposal made would need to ensure it does not affect the character of the listed building and its setting, taking into account the form, scale, massing, materials etc. in accordance with Policies HQ/1 and NH/14.

The site is located on the eastern periphery of Madingley and would have access to the facilities within the village. Power and drainage utilities are present.

Available now

The site is currently vacant and therefore immediately available.

Site owned by a developer

Highly attractive

No

Not applicable

3 years

Within 5 years

2 years

Yes

Main issues relate to demolition of existing agricultural buildings, which are known to contain asbestos. As a former farm complex, there is the potential for ground based pollutants, although this has not been explored in detail at this stage. None should ultimately prevent development, however.

Yes

Form ID: 40060
Respondent: University of Cambridge

Land off High Street, Girton Cambridge Cambridgeshire

2.6

Site 40060 map

No uploaded files for public display

Vacant

The site was previously used for agricultural purposes

S/0131/77 and S/1737/89/O

Greenfield

Housing and supporting landscaping

Market and affordable housing

Nothing chosen

Under the Council's village classification, Girton has been identified as a 'Minor Rural Centre' as it is has a greater level of services, facilities and employment opportunities than most other villages in South Cambridgeshire. It is considered that the site is sustainably located to contribute toward future housing growth, as it can demonstrate a good relationship with the existing built form and would require minimal reliance on the private car.

60 dwellings

No uploaded files for public display

Yes (Please give details)

Access could be gained to the east onto High Street. It is understood that technical work will need to be undertaken to assess potential access to the site and impact on the surrounding highway network.

No

There is a gentle gradient towards the site's western boundary, however this would not cause a barrier to development.

Yes (Please give details)

he site's western boundary is formed by an area of deciduous woodland and the course of the Washpit Brook. The areas immediately surrounding the brook are therefore identified as Flood Zone 2 and 3. There are no tree preservation orders on site. It is understood that suitable flood protection and/or mitigation measures would need to be incorporated into any design and supported by a site specific Flood Risk Assessment.

The site is located on the western periphery of Girton and would have access to the facilities within the village. Utilities would need to be taken from those in the public highway. Early engagement will be undertaken with bodies such as NHS England, the Local Education Authority and utility providers in order to address any impact or contributions necessary to increase capacity.

Available now

The site is previously undeveloped and therefore immediately available, subject to planning permission.

Site owned by a developer

We are of the opinion that the site has a medium to high market attractiveness given its edge of settlement, sustainable location.

No

Not applicable.

2 years post designation

3 years post start of development

3

No

We do not anticipate any issues to overcome in the site's delivery.

Yes

Form ID: 40061
Respondent: Carter Jonas

Land north of Impington Lane, Impington, CB24 9NF

2.319 --- 2025: 2.59

Site 40061 map

Rough pasture - agricultural land

No answer given

n/a

greenfield

Residential development

Market and affordable housing

Nothing chosen

The site can deliver 52 new homes, 40% of which would be affordable. The development would provide on-site open space. In addition, there is the opportunity to assist with mitigating known drainage issues elsewhere in the village through the provision of surface water drainage features

minimum number of units 40 and maximum units is 55

No answer given

No uploaded files for public display

Yes (Please give details)

The site can be accessed through existing allocation H/1d. That access has already been agreed with Cambridgeshire County Council and is capable of serving the adiditonal development too. see attached access report

No

No answer given

No

Part of the site is within flood zones 2 and 3, although the attached masterplan demonstrates that residential development can be accommodated within Zone 1, with the remainder of the site set aside for open space. The Council's SHLAA 2013 identified heritage issues as a constraint. That is not accepted - views of the site from the Conservation Areas are limited to the western boundary of Impington St Andrew’s Conservation Area. Due to the mass and density of the boundary vegetation along the eastern boundary of the site, views of development on the site are unlikely to be significant. The very limited view from Clay Lane Close, across substantial vegetation is unlikely to have an adverse affect on the character or appearance . Therefore there would not be any harm of the to St Andrews Conservation Area. Merrington Place has altered views from the east to the Histon and Impington Conservation Area and the site is not visible from this Conservation Area. Built development lies between the site and the Histon & Impington Conservation Area and accordingly there are no views of the countryside from the Conservation Area across this site. With regards to concerns in relation to listed buildings, the site is not visible from nearby listed buildings due to the intervening residential buildings and there would therefore be no harm to their setting. The presence of the listed buildings did not prevent the development of Merrington Place, which lies between the objection site and the listed buildings. 2025: the answer is NO

No answer given

No

water, sewerage, electricty, gas and broadband are available via connections in Impington Lane, adjoining the site

Available now

The site is under option to housebuilder, who will be developing out the land adjoining

Site is under option by a developer

the site lies in a village with excellent access to jobs, primary and secondary school, day-to-day convenience shopping, restaurants/pubs, recreation facilities, public transport, and where demand is strong

Nothing chosen

No

n/a

October 2024

June 2026

1.75

No

No answer given

Yes

Form ID: 40062
Respondent: Mr Omar Kuwaider

144 Cambridge Road Great Shelford

0.8

Site 40062 map

No uploaded files for public display

Private recreational land.

n/a

n/a

Greenfield

There are a number of proposed development options under consideration: Scenario A: A residential housing scheme, to be delivered at circa 30dph. This would deliver approximately 25 dwellings and an appropriate mix of market and affordable homes. Scenario B: A scheme for Older Persons Housing is also under consideration. There are various options available to the landowner, including the potential for a retirement/ care village development.

Market and affordable housing , Key worker housing , Older persons housing , Residential care home , Other forms of housing

Public open space , Community facilities , Recreation and leisure , Healthcare

The scenario A option currently being considered relates to the delivery of 25 residential dwellings, including 10 affordable housing units (40% of overall provision). The appended initial viability assessment has been undertaken by an independent viability expert, Bailey Venning Associates (BVA). The identified affordable housing dwellings would provide a significant benefit to the local area and households who may not currently be able to rent, or purchase, on the open market. A density of 30 dwellings per hectare will achieve an efficient use of land. The indicative viability assessment appended to this form also illustrates that the notional 25 unit scheme has the potential to deliver other developer contributions which are likely to benefit the local community. The initial viability assessment of the 25 unit development inludes a notional Section 106 allowance of £15,000 per unit. The results of viability testing indicates that the proposed scheme option can sustain this level of developer contribution. On the above basis, this Section 106 'pot' is potentially available to contribute to local infrastructure that is reasonable in planning terms (education, healthcare, community facilities, etc.) The Option B Scenario (Retirement/ Care Village) also has the potential to deliver significant benefits for the local community. Like any other age group, older people are diverse and their housing needs and options are similarly varied, reflecting their age, tenure, geographical location, income, equity, health and individual preferences. Older people who wish to move should be able to choose from a wide range of housing to accommodate their needs and preferences. Unfortunately, there is a lack of available older person's housing at the local and District level. The proposed Retirement/ Care Village option has the potential to provide significant benefits to the local community, including accessible/ specialist housing. The right kind of housing can keep older people healthy and support them to live independently.

Option A - 25 Residential Dwellings: In terms of Option A, an illustrative scheme is attached to this form. This assumes a 25 unit residential development, delivering a mix of 2/3 and 4 bed dwellings (including 10 affordable housing units). The notional scheme examined has a Gross Internal Floor area of 2,413 m2. The above estimate is based upon a preliminary assessment of the level of residential development that the proposed site is likely to sustain. Option B - Retirement/ Care Village: At this stage, various options are being considered for the Retirement/ Care Village. On this basis, we've not included an estimate of the number of potential residential units. A detailed viability assessment of the retirement village has not been undertaken. However, the value profile in the loca area is favourable, meaning that a feasible/ deliverable scheme is very likely. This is also based upon our experience of advising upon older person's housing across the UK and wider region.

No uploaded files for public display

Yes (Please give details)

A Title Map is Attached to this form - The yellow arrow represents the existing access route to the site. Other access options are open to consideration).

No

n/a

No

n/a

No

In terms of the first question, yes provision will need to be made to enable development. This relates to the key utilities mentioned.

Available now

In February 2019, the Ministry of Housing, Communities and Local Government (MHCLG) produced 'The Housing Delivery Test 2018 measurement', an annual measurement of housing delivery in the area of relevant plan-making authorities. The above delivery tests indicates that the District of South Cambridge required 2,577 homes over the period 2015/16 to 2017/18. In this time period, 2,000 homes were delivered, or 76% of the identified requirement. In order to rectify this undersupply there are delivery opportunities related to the identification of small/ medium size sites across the District, including the proposed site at 144 Cambridge Road. The proposed site is not encumbered by abnormal costs and is available now, in order to contribute towards housing needs across the District and local area.

Don't know

The site is within a favourable location in Great Shelford with good access to key services, facilities, jobs and infrastructure. The proposed site is surrounded by residential development and further residential development would not be out of place. The proposed site is also close to public transport routes with a local bus service travelling to and from Cambridge City centre and surrounding villages. The bus stops are located within a very short walking distance to the proposed site. The site can be integrated into the existing pattern of residential development and make a positive contribution towards the housing stock of Great Shelford and the District of South Cambridgeshire.

No

n/a

Late 2019/ Early 2020

2021/2022

2 Years

No

The vacant greenfield site is not encumbered by any known abnormals. As such, the proposed site has a relatively low risk profile.

Yes

Form ID: 40063
Respondent: Hildersham Parish Council

South Holdings (field near A1307) High st Hildersham

2

Site 40063 map

No uploaded files for public display

fallow used for set aside rented to local farmer

it has never been developed

none

greenfield

low density mixed housing setting up a community land trust to provide some low cost housing to rent for the people in the village and provide funds to build a new village hall.

Market and affordable housing , Older persons housing

Community facilities

to provide low cost rentable properties for the young in the village and fund a new village hall.

10-14 houses

No uploaded files for public display

Yes (Please give details)

yes access exists from the top of hildersham high street before you get to the A1307 junction, it will need improving.

No

No

No

Not known

Available now

None

high given pockets of development in Abington and continued expansion of science parks in Abington and Babraham

Site is a administered by the Parish Council but is registered with the charity commission as charity for the poor of the parish so will need final agreement on use with the charity commission.

2021

2022

18 months

No

Yes

Form ID: 40064
Respondent: Quod

Cambridge South (Cambridge Biomedical Campus)

400

Site 40064 map

Agriculture

N/A

N/A

Greenfield

Mixed housing and employment with supporting facilities and open space

Market and affordable housing , Key worker housing , Employment (B1) office , Employment (B1b) research and development , Employment (B1c) light industrial , Employment (B8) storage and distribution , Employment (other)

Schools and education , Public open space , Community facilities , Recreation and leisure , Healthcare , Hotel , Retail

The site can provide employment floorspace to support the future growth of the Cambridge Biomedical Campus. The site can also provide new homes to meet local housing need and community facilities and open space to support a new community.

Circa 436,000 sqm of employment floorspace and circa 5,000 residential units.

All constraints capable of mitigation.

No uploaded files for public display

Yes (Please give details)

Existing vehicular access from Addenbrookes Road. New vehicular access proposed from A1301 Cambridge Road, Babraham Road and Dame Mary Archer Way.

Yes (please give details)

The site has varied topography. This will be addressed through the appropriate siting of development to respect areas of sensitivity.

Yes (Please give details)

Parts of the site are affected by fluvial flood risk. The site contains one small Local Nature Reserve, two Scheduled Ancient Monuments and one Grade II Listed monument. These areas will not be subject to development.

Additional utilities capacity will be required to accommodate development. The site has access to or potential access to key utilities.

Yes (Please give details)

The northeastern corner of the site is crossed by a Local High Pressure gas main route.

Available now

The site is not subject to any constraint that would require remediation prior to development, and has full support from landowners.

Nothing chosen

Employment floorspace takeup rates at the Cambridge Biomedical Campus and low R&D floorspace vacancy rates in Cambridge indicate that there is high market demand for floorspace provision of this type. There is also an identified specific need for the provision of new homes for the employees of the Cambridge Biomedical Campus.

No

N/A

N/A

2027 - 2029

2042 - 2044

15 years

No

No answer given

Yes

Form ID: 40066
Respondent: Mr Ben Pridgeon
Agent: Mr Ben Pridgeon

Land at Maarnford Farm, Hunts Road Duxford

1.66

Site 40066 map

No uploaded files for public display

Amenity land, dwelling and former agricultural building

Agricultural use

Planning permission for residential development at the site was refused on 7th February 1989 (SC/2977/88/O). The application was refused as it was contrary to planning policy at the time. The reasons for refusal included the following: - The development was not required to fulfil a five-year housing land supply; - The development would detract from and intrude into the countryside north of Duxford Clearly policy matters and the relationship of the site to existing dwellings has changed in the intervening time. The land is now adjacent to the development framework for Duxford – planning permission for fourteen dwellings was granted on 10th November 2006 (S/0827/03/F). Consequently, the site is hard up against the built form of Duxford and forms a logical extension to that form. Part of the site is used for the storage of caravans. This use was conferred by permission S/0467/09/LDC, which was granted on 22 April 2010.

Mixture

Erection of approximately 45 dwellings to include access, public open space and landscaping

Market and affordable housing , Custom or self build housing

Public open space

The site is being promoted for residential use, to include an appropriate provision of affordable housing and self-build plots. This use would include land for access/roads, landscaping and public open space. The benefits of the proposed development are wide ranging and will promote the social, economic and environmental objectives of the National Planning Policy Framework. The site is located in a highly sustainable location, adjacent to the existing development framework for Duxford and existing services and facilities. Development at the site would promote the delivery of housing and continued economic growth in the region.

The site was promoted in the Council’s call for sites consultation in 2012 and was assessed by the Council under site 086 (Maarnford Farm, Hunts Road, Duxford). This comprised the promotion of the land (1.66 hectares) for approximately 60 dwellings. The Council’s assessment of the site assumed a developable area of 1.49 hectares with a capacity of 45 dwellings. This assumes a density of around 30 dwellings per hectare. We consider this density to be appropriate for an edge-of-village location and in line with the Council’s previous assessment of the site. This would be a net density and would allow for infrastructure such as access, landscaping, open space and any necessary mitigation measures. We suggest that any planning policy which relates to a residential allocation at the site makes it clear that this is an indicative capacity and that this capacity should be informed by a master planning exercise.

No uploaded files for public display

Yes (Please give details)

Access to/from the site could be taken from Maarnford Close or Hunts Road. Hunts Road is straight at the point of access and it is not considered that there would be any issues associated with visibility at a new junction, to serve the development. In respect of access, the Council’s 2012 SHLAA Assessment states that “A junction located on to Hunts Road would be acceptable to the Highway Authority. The proposed site is acceptable in principle subject to detailed design.” We consider that this statement is still accurate and that any access to/from the site of Hunts Road would not have any adverse impact on highways safety.

No

The site comprises amenity land and caravan storage although it contains some former agricultural buildings and a dwelling. Whilst the former use of the buildings could be associated with some localised contamination, we do not consider this would impact on the deliverability and viability of the site.

No

The site is in Flood Zone 1, which is at the lowest level of flooding. As such, residential development is appropriate in this location. Any planning application would be accompanied by a Drainage Strategy which would outline how surface and foul water could be managed. The site comprises amenity land and caravan storage although it contains some former agricultural buildings. In itself, the site does not appear to have any biodiversity value. This would be subject to an assessment as part of any planning application and any development at the site would have the potential to enhance biodiversity at and adjacent to the site. The site is not located adjacent to any heritage assets including Listed buildings or conservation areas, which could restrict the scope and extent of development at the site. Any development at the site may need to be accompanied by an archaeological assessment, but there is no reason to believe that this could limit or prevent development at the site. In respect of landscape impact, the Council’s 2012 SHLAA assessment states that: “The low hedges around this site and its use for caravan storage help create a harsh edge to the village in this location. Residential development here would intrude into the countryside and so have an adverse effect on landscape setting of Duxford. This impact could be minimised by strengthening the boundary hedgerows and trees.” Whilst the assessment concludes that any development could adversely impact on the wider countryside setting of the site, it concedes that this impact could be minimised by strengthening the boundary. The ‘harsh edge’ is akin to the development at Maarnford Close, which has assimilated into the countryside over time. This development is surrounded on its northern side by a hedge and in fact, does not impact unduly on the wider countryside setting.

No

The site is located adjacent to the existing development framework for Duxford and it is considered that connections could be made to existing services - including electricity, gas, sewerage, telecommunications and water.

Available now

The site is within family ownership who is actively promoting it for residential development. Therefore, it is available for development now.

Enquiries received

Very good - we consider that Duxford is an attractive place to live and has a buoyant housing market. As such, we consider that a developer could easily be found to deliver the site.

None known - we are not aware of any legal constraints which could delay or prohibit development.

Not applicable

2020

2025

5

No

The site is within the ownership of the promoter and it is considered that development at the site could be delivered within five years. The site is broadly greenfield land and there are no constraints at the site which could prohibit delivery within this time period. The SHLAA assessment confirms that the site is viable and deliverable and there is no reason that this conclusion would have changed in the intervening time.

Yes

No uploaded files for public display

Form ID: 40068
Respondent: Armstrong Rigg Planning
Agent: Armstrong Rigg Planning

Land north of West Road/adjacent to Dennis Green, Gamlingay

1.3

Site 40068 map

No uploaded files for public display

Vacant greenfield land

N/A

N/A

Greenfield land

Mainly for residential development - would also consider mixed use

Market and affordable housing , Key worker housing , Older persons housing , Custom or self build housing

Public open space , Community facilities

Provision of housing, affordable housing, open space, ecological enhancements

Up to 10 dwellings

No uploaded files for public display

Yes (Please give details)

Access from Dennis Green and/or West Road

No

Yes (Please give details)

The site contains a number of trees, however these can be retained as part of a development on the site. There is a Grade II listed building to the north of the site, however, the site is not considered to be within its setting,

Site is within close proximity to existing residential development and as such is expected to be able to be served by existing key utilities for which there exists sufficient capacity. There is a mains sewer running in line with the brook at West Road end of the site. It does not cross the site The site is not constrained by electricity pylons.

Available now

An undeveloped site under one family ownership and owners are supportive of site coming forward.

None

Gamlingay is an attractive village with everyday amenities

No

No

end 2023

early 2014

Less than 1 year

No

Yes

Form ID: 40070
Respondent: Ceres Property

Land to the rear of 67-69 High Street, Meldreth, Royston

1.14

Site 40070 map

Undeveloped land

N/A

S/2000/89/0 - One new dwelling - Refused - 08/12/1989

Greenfield

Residential (Use Class C3)

Market and affordable housing

Nothing chosen

Provide much needed new housing, increasing the choice of dwellings with regards to scale, size and tenure. Public open space and future residents supporting existing services and businesses.

Circa 20-25 dwellings. This is considered to be appropriate given the size of the site and the density of the approved outline scheme S/1124/17/OL which is located directly north of the site.

No answer given

No uploaded files for public display

No

No current access, although could be achieved via the land to the north which benefits from extant outline consent (Ref S/1124/17/OL) for 18 dwellings.

No

No answer given

Yes (Please give details)

North-west corner of the site is at risk of flooding (zone 3). This part of the site would not be built on and would be left open for mitigation and leisure.

The site does have access to key utilities

Nothing chosen

the site does not lie adjacent to key infrastructure or electricity sub stations

Next 5 years

The site is in single ownership and is available now. Access to the site would need to be assessed.

Site is under option by a developer

The site is available and will infill a plot of land between an existing housing estate and land which has outline consent. It would provide a range of house sizes and types to reflect local needs.

No

2021

2022

1

No

Yes

Form ID: 40071
Respondent: Orchestra Land
Agent: Orchestra Land

Land on the south side of Cambridge Road, Waterbeach

4.78

Site 40071 map

No uploaded files for public display

Derelict field/agriculture

N/A

N/A

Greenfield

Residential development circa 140 homes

Market and affordable housing , Older persons housing , Residential care home , Custom or self build housing

Public open space

Much needed market and affordable homes and potential for new footpaths along Cambridge Road to provide for new and existing residents. Furthermore on part of the site we propose a care home to satisfy local demand.

Approximately 140 two storey residential dwellings including 2, 3 and 4 bedrooms as well as some single storey bungalows. 40% affordable housing. The land measures approximately 4.78 hectares and using a density of 30 dwellings per hectare, the site could deliver up to 140 homes.

No uploaded files for public display

Yes (Please give details)

Existing (unestablished) vehicle access from the northern and south-east site corners over grass verges. New access points for vehicles and pedestrians shall be created along the north east and south site edges with Cambridge Road and Car Dyke Road (see site location plan attached).

No

The site is flat and has level topography suitable for residential development.

Yes (Please give details)

Though the site is Greenbelt, this site should be released, given that it is at the edge of settlement and also has definitive boundaries on all sides. Release of this site would allow further Cambridgeshire county land to be released.

Site adjoins the built up area boundary and all utilities are available to connect into. Following searches there appears to be a drain going through the middle of the site from north to south (see site location plan attached).

Available now

The site is vacant and available and the landowners are willing to develop the site.

Site is being marketed

The site is situated inside the road envelope of Waterbeach. Waterbeach train station is 10-15 minutes walk from the site (2 minute drive) with trains taking 10 minutes to Cambridge city and 65 minutes direct to London Kings Cross Station. Local shops and services are 5 - 10 minute walk as well as Car Dyke Road bus stop (5 minute walk) with buses running once an hour and taking 15-20 minutes off peak. The site is situated directly east from the A10 road which enables new vehicle traffic to bypass Waterbeach settlement and thereby reduces vehicle dependency.

No

N/A

Assuming the site secures an allocation in the Local Plan following adoption in 2023, an application could be progressed immediately and start to deliver homes by 2024/25

2025/26

1-2

No

No known constraints to development

Yes

Form ID: 40072
Respondent: Mr Ben Pridgeon
Agent: Mr Ben Pridgeon

Land south of Albert Road, Stow-cum-Quy

1.07

Site 40072 map

No uploaded files for public display

Agricultural/amenity land

Not applicable

Not applicable

Greenfield

Residential development to include open space, access/roads, landscaping and associated development. Development will include appropriate provision of affordable housing.

Market and affordable housing

Nothing chosen

The benefits of the proposed development are wide ranging and will promote the social, economic and environmental objectives of the National Planning Policy Framework. The site is located in a highly sustainable location, adjacent to the existing development framework for Stow-cum-Quy and existing services and facilities. Development at the site would promote the delivery of housing and continued economic growth locally.

The site has been subject to several illustrative site layout plans which show how the site could be developed. These plans show access being taken off Albert Road. The capacity of the site is shown as 29 dwellings, which includes a range of dwelling sizes (2-4 bedroom) and tenures. This would include an element of affordable housing which is likely to comprise 40%, as required by the adopted Local Plan. The net density of the site would be approximately 29 dwellings per hectare which is appropriate for an edge-of-village location. This figure allows for infrastructure such as access, landscaping, drainage attenuation and public open space.

No uploaded files for public display

Yes (Please give details)

Access to/from the site would be taken from Albert Road. This road is straight at the point of access and it is not considered that there would be any issues associated with visibility at a new junction, to serve the development. As such, we do not consider the proposed development would have an impact on highways safety. Pedestrian and bicycle access could be provided to/from the village via a new pavement along Albert Road and via Minter Close, adjacent to the south-west part of the site.

No

The site is flat with no significant changes in levels. This means that development would not be prevented in whole or in part.

Yes (Please give details)

The site comprises agricultural/amenity land and is unlikely to contain any features of significant ecological interest. An Ecological Assessment would be undertaken as part of any planning application. The site comprises agricultural/amenity land. Given this use, we do not consider that the site would include any significant element of contamination. The site is in Flood Zone 1, which is at the lowest risk of flooding. As such, residential development is appropriate in this location. Any planning application would be accompanied by a Drainage Strategy which would outline how surface and foul water would be managed. The site is well located to the existing urban edge of Stow-cum-Quy and comprises a natural 'T-shaped' infill development between Albert Road and Vicarage Meadow. The Council will note that there is a dwelling to the east of the site (30, Albert Road) which is at some distance from the village. Development at the site would be a natural extension of this built form which would comprise a natural 'rounding off' of the established development framework for the village. Likewise, Minter Close and Vicarage Meadow extend beyond the established development framework and form a natural rounding off of the village using the established field boundaries. This forms the logical boundary to the extent of built development in the village. Such would be the case with development at Albert Road. The proposed development would provide the opportunity for landscaping along its boundaries, which would enhance the character and setting of the village and the Green Belt. Public open space/drainage attenuation could be located along the eastern periphery of the site. Its location here would serve to mitigate any impact on the openness of the open countryside and Green Belt.

The site is located adjacent to the existing development framework for Stow-cum-Quy and it is considered that connections could be made to existing services - including electricity, gas, sewerage, telecommunications and water.

Available now

Site is in single ownership and not subject to any constraints.

Enquiries received

We consider that Stow-cum-Quy is an attractive place to live and has a buoyant housing market. As such, we consider that a developer could easily be found to deliver the site.

We are not aware of any legal constraints which could delay or prohibit the development.

Not applicable

2021

2026

5

No

Not applicable

Yes